Main Sewer Line Projects

CONSTRUCTION NOTICES
The District typically contacts affected residents at least a month in advance using notices, and door hangers will be placed 24-48 hours in advance of work. So please do not ignore these official notices. As with all construction work, there may be stockpiling of debris in the area, parking spaces may be limited and access to backyard easements may be necessary.
Please pardon our dust, the District does its best to give residents access to their driveways, have proper traffic control and clean up the affected area regularly.
Our Crews/Contractor will always be wearing reflective personal protection equipment, drive in clearly marked vehicles and will always carry identification. If you have any concerns feel free to request for their identification or contact District offices 24/7 at (510) 524-4667 for verification.
In order to maintain the entire system, crews need to access sanitary sewer easements (approximately 20% of the system) typically located in back yards. Please be assured that District personnel will only access your property (typically the back or side yard) if you have a sewer easement on your property. Our staff will never ask to come into your home unannounced, for any reason whatsoever.
Our staff will enter your home only if a sewer backup is currently occurring inside the house that needs verification and only at the explicit instruction of the homeowner.
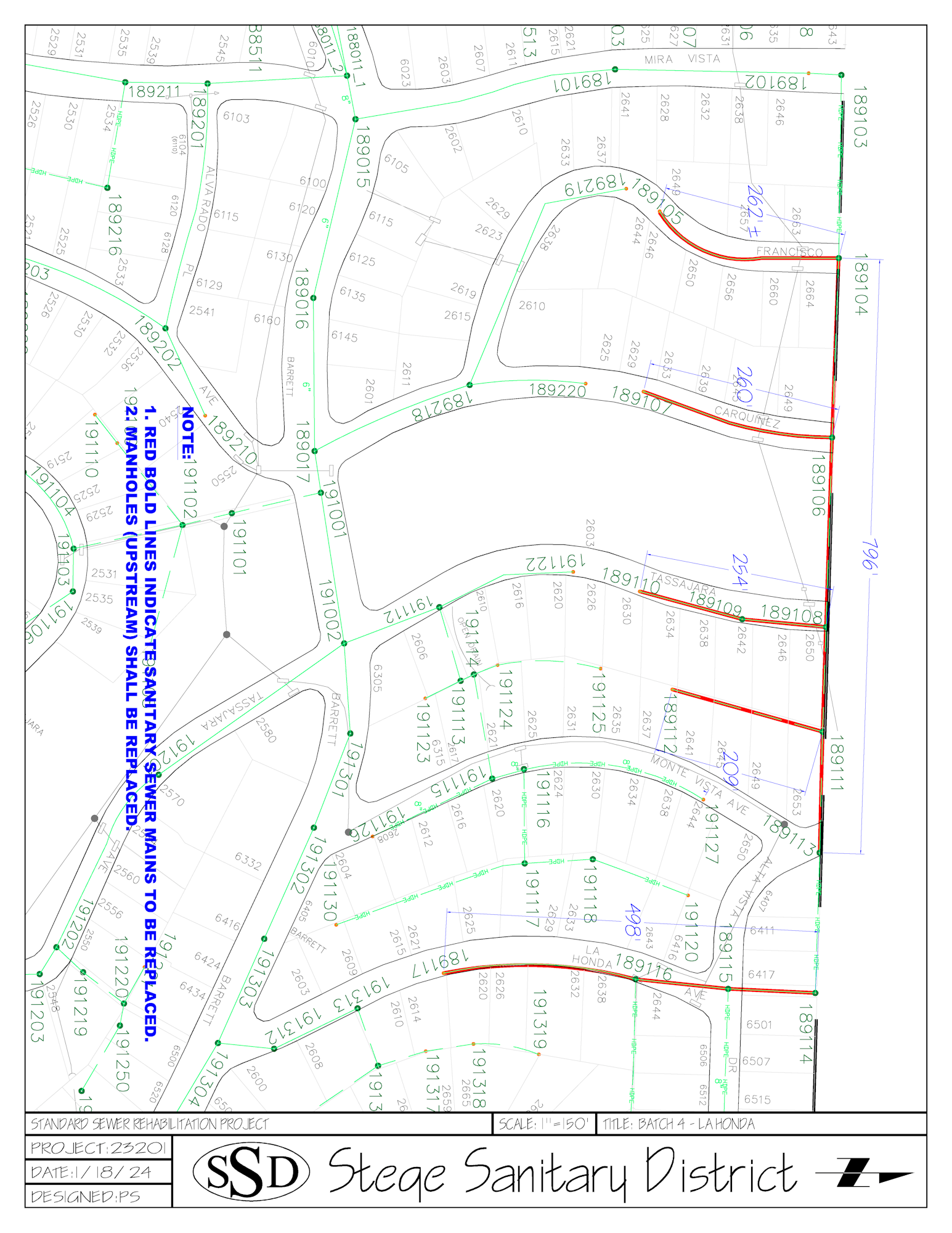
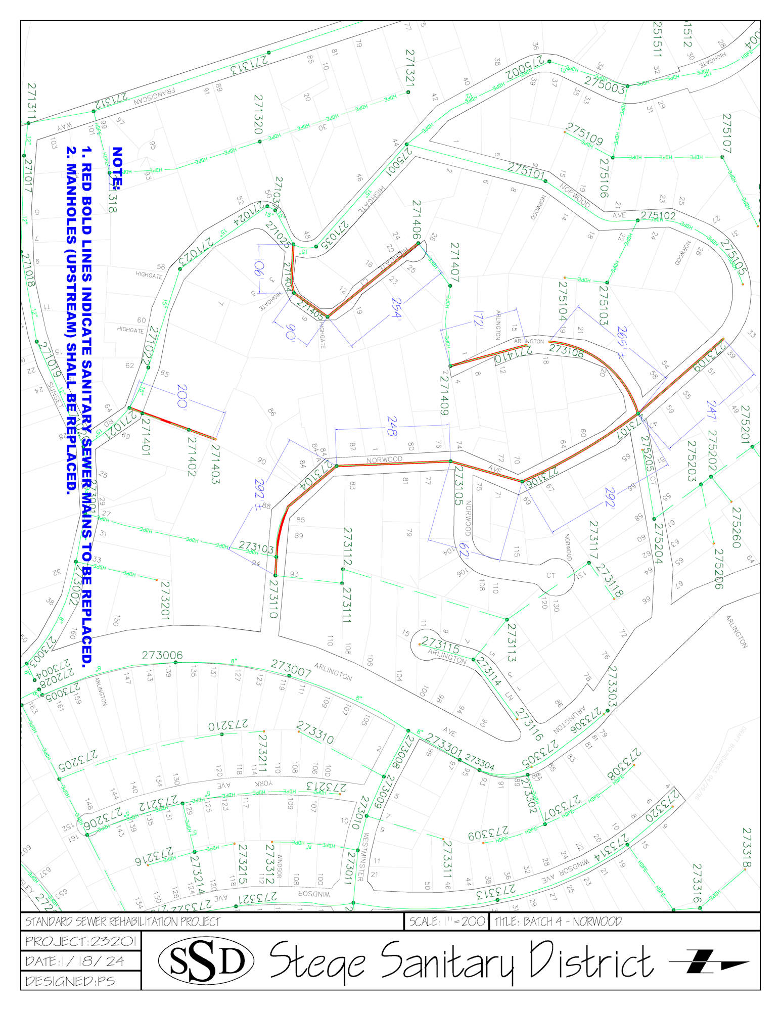
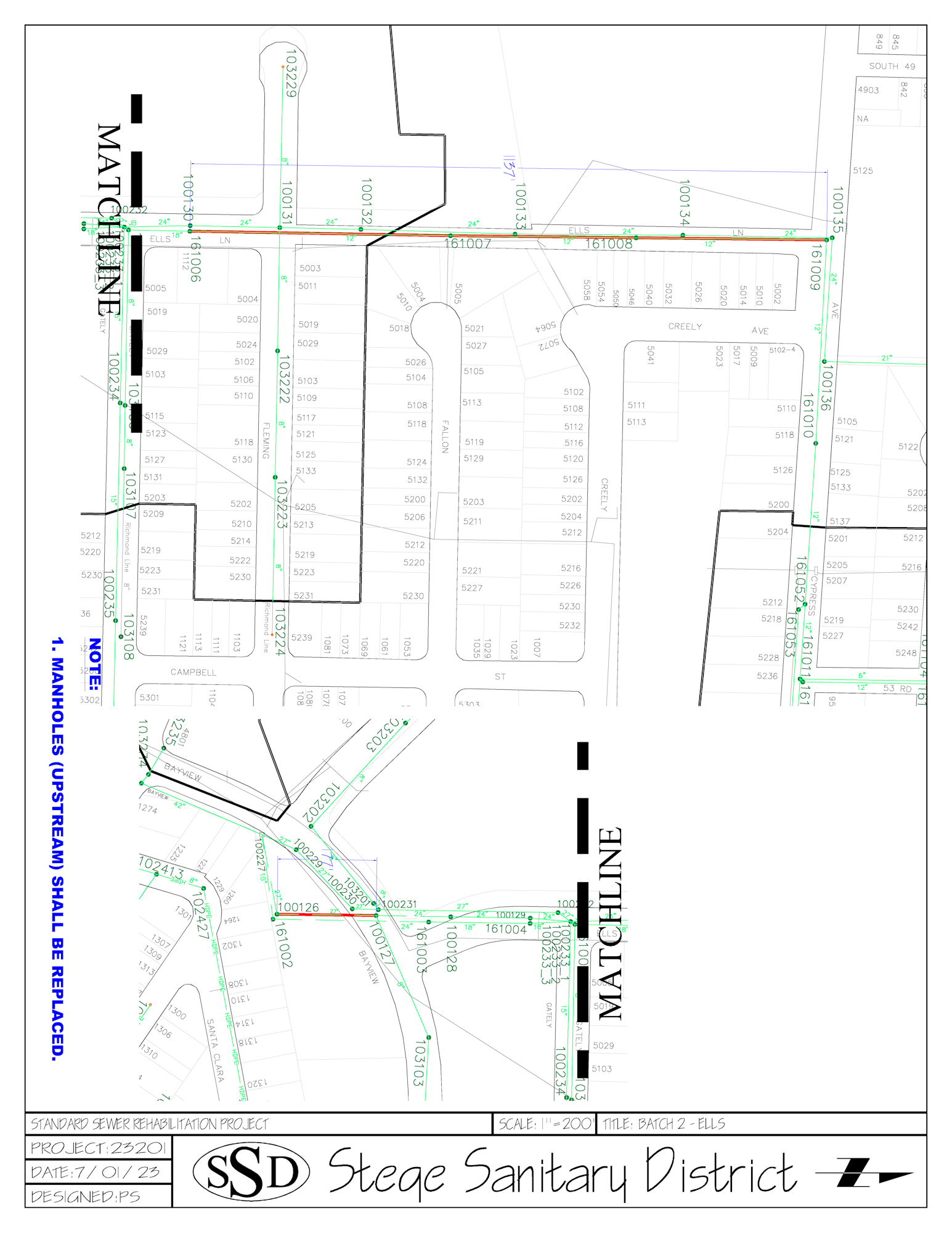
CURRENT DISTRICT PROJECTS
Last modified: 03/15/2023





























